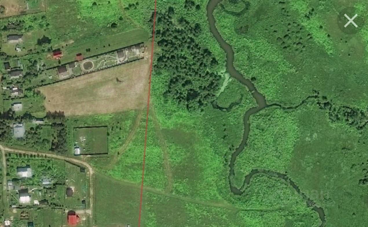
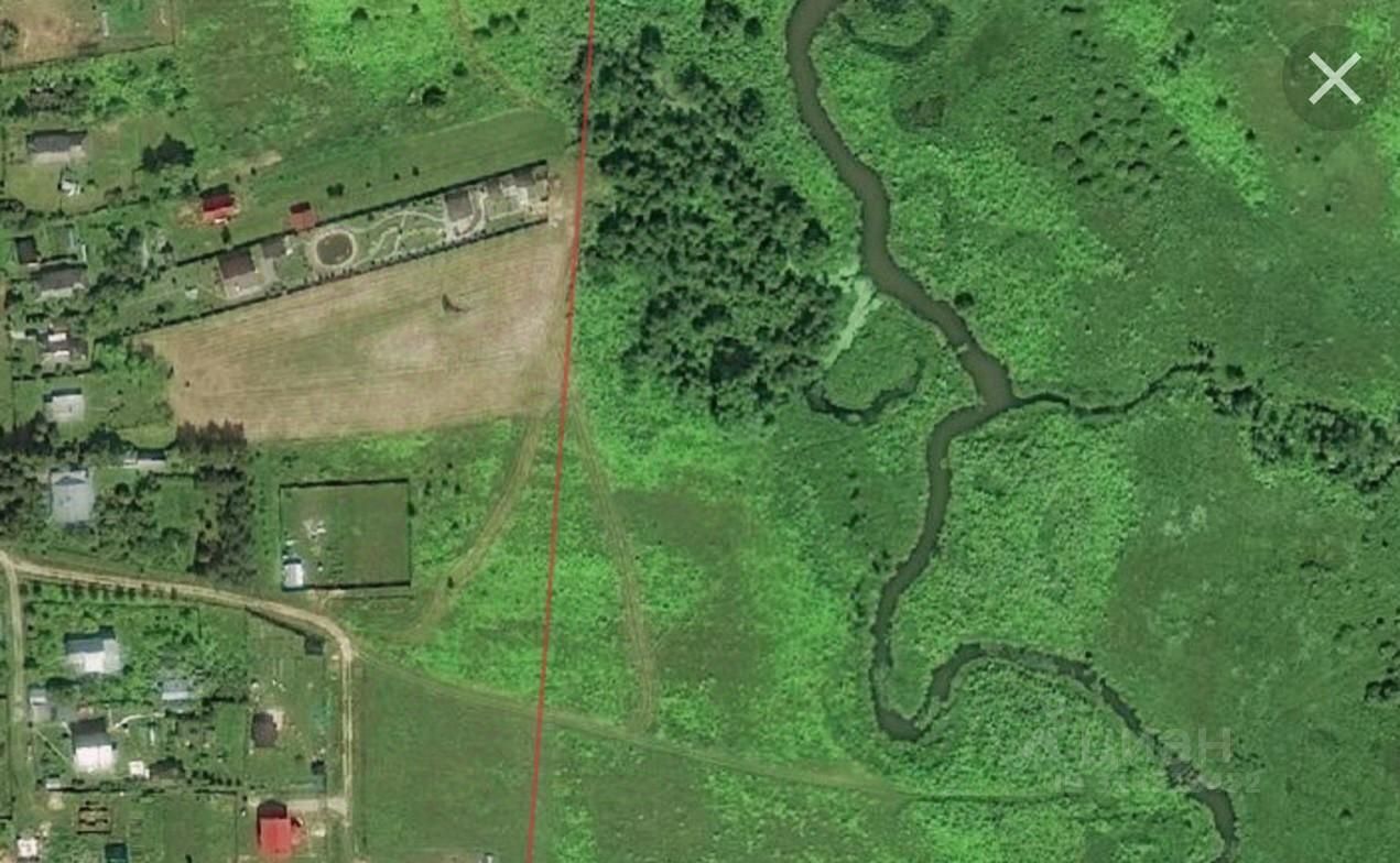
Красивый экологически чистый район. Новорижское шоссе 120 км. Шаховской район, деревня Бабинки. Рядом река Лобь. Участки с назначением под дачное строительство равнозначны Ижс.
Продаются 2,5 га состоящие из 12 участков по 20 соток (Участки размежёваны)
Кадастровые номера участков
50:06:0030305:614
электричество на один участок 15 киловатт + электросчётчик + уличное освещение. Круглогодичный подъезд до участка. Зимой дороги чистят. В деревне, автобусная остановка где каждые 30 минут останавливается автобус и маршрутное такси. Плотина с рекой в шаговой доступности. Экологически чистый район!






